Public Notice - Public Meeting POPA 2022-0006 and RZ 2022-0010
Official Plan Amendment and Zoning By-law Amendment
FILE NUMBER: POPA 2022-0006 and RZ 2022-0010
A Public Meeting will be held to consider proposed Official Plan Amendment and Zoning By-law Amendment
applications. This will be the second Public Meeting on these applications, and in follow up to the first Public
Meeting held June 20, 2023. Your input and insight will inform and shape plans that meet the needs of our
community.
- Meeting Date: Thursday January 29, 2026
- Public Meeting Start Time: 7:00 p.m.
- Location: Alton Legion, 1267 Queen St W, Alton, ON L7K 0C4
How to participate:
The Town of Caledon offers a meeting model with multiple ways for members of the public to participate
and engage with Council.
1. Attend In-Person: Members of the public may attend the meeting in-person and provide verbal comments
regarding the proposed application(s) or sit in the gallery to watch the meeting. Although registration is not
mandatory, members of the public are encouraged to complete the Participation Request Form, available at
www.caledon.ca/speak-at-council. Please be advised that the venue holding this Public Meeting does have a
maximum capacity and in-person attendees will be limited to that capacity.
2. Submit a Written Comment: Members of the public may submit written comments regarding the proposed
application(s) by completing the Participation Request Form, available at www.caledon.ca/speak-at-council.
You can also ask questions or provide comments by:
- Submitting written correspondence to agenda@caledon.ca and planning@caledon.ca for consideration during the Public Meeting. Please note that written comments will form part of the public record.
- Contacting Planning staff or the Lead Planner during office hours by phone or email.
- Booking an appointment to visit Town Hall to speak with Planning staff. Visit www.caledon.ca/development for more information.
- Please be advised that the venue hosting this Public Meeting has a maximum capacity, and in-person attendees will be limited to that capacity. Members of the public are encouraged to view the meeting via the livestream available on the Town’s website.
Applicant:
Glen Schnarr and Associates on behalf of CBM - Caledon
Location:
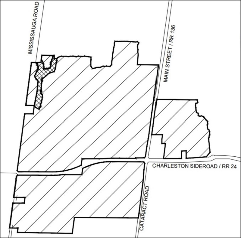
Multiple Addresses including 18667 Mississauga Road, 18722 Main Street, 0 Main Street 18501 Mississauga Road,
1055 Charleston Sideroad, 18221 Mississauga Road, 0 Charleston Side Road, 1455 Charleston Sideroad, and 1420
Charleston Sideroad Part Lots 16 and 17 Concession 4 WHS (Caledon), Part Lot 16 Concession 3 WHS (Caledon),
Part Lot 15 Concession 4 WHS (Caledon) Ward 1
Proposed Changes:
The proposed CBM Caledon quarry is a Class A, below-water table quarry, meaning that the proposal is to remove
more than 20,000 tonnes of bedrock aggregate annually, from below the water table. The Official Plan Amendment
application proposes to redesignate the lands in the Town Official Plan from General Agricultural Area, Rural Lands
and Environmental Policy Area to:
• Extractive Industrial B to permit above and below water table aggregate resource extraction; and,
• Environmental Policy Area to protect the existing tributary (watercourse) in the north-west corner of the site.
The Zoning By-law Amendment application proposes to rezone the lands from Agricultural (A1) and
Environmental Policy Area 2 Zone (EPA2) to Extractive Industrial – Exception XX (MX-XX) and Environmental
Policy Area 1 Zone – Exception 487 (EPA1–487). The Extractive Industrial zone would permit the quarry and
extraction, while the EPA1–487 zone allows the area to be licensed but no extraction permitted. The EPA1-487
zone aligns with the proposed Environmental Policy Area to protect the existing tributary in the north-west
corner of the site.
Lead Planner:
Genevieve Scott, Cuesta Planning Consultants Inc., on behalf of theTown of Caledon.
Email: genevieve@cuestaplanning.com or cbmapplication@caledon.ca
Phone: 519-372-9790
Additional Information:
For more information about this matter, including a copy of the proposed Official Plan Amendment and/or Zoning By-law Amendment, additional information and material, please visit www.caledon.ca/notices or contact the Lead Planner from Monday to Friday, 8:30 a.m. to 4:30 p.m.
How to Stay Informed:
If you wish to be notified of the decision of the Town of Caledon on the proposed Official Plan Amendment and/or Zoning By-law
Amendment, you must make a written request to the Planning Department of the Town of Caledon, 6311 Old Church Road, Caledon, Ontario, L7C 1J6 or by email to planning@caledon.ca or cbmapplication@caledon.ca.
Accessibility:
If you require an accessibility accommodation to access any materials related to this item in an alternate format please contact Legislative Services by phone at 905-584-2272 x.2366 or via email at legislative.services@caledon.ca
Multi-Tenant Landowners: Please post this notice in a visible location to all residents of the land.
Notice Date: January 8, 2026

