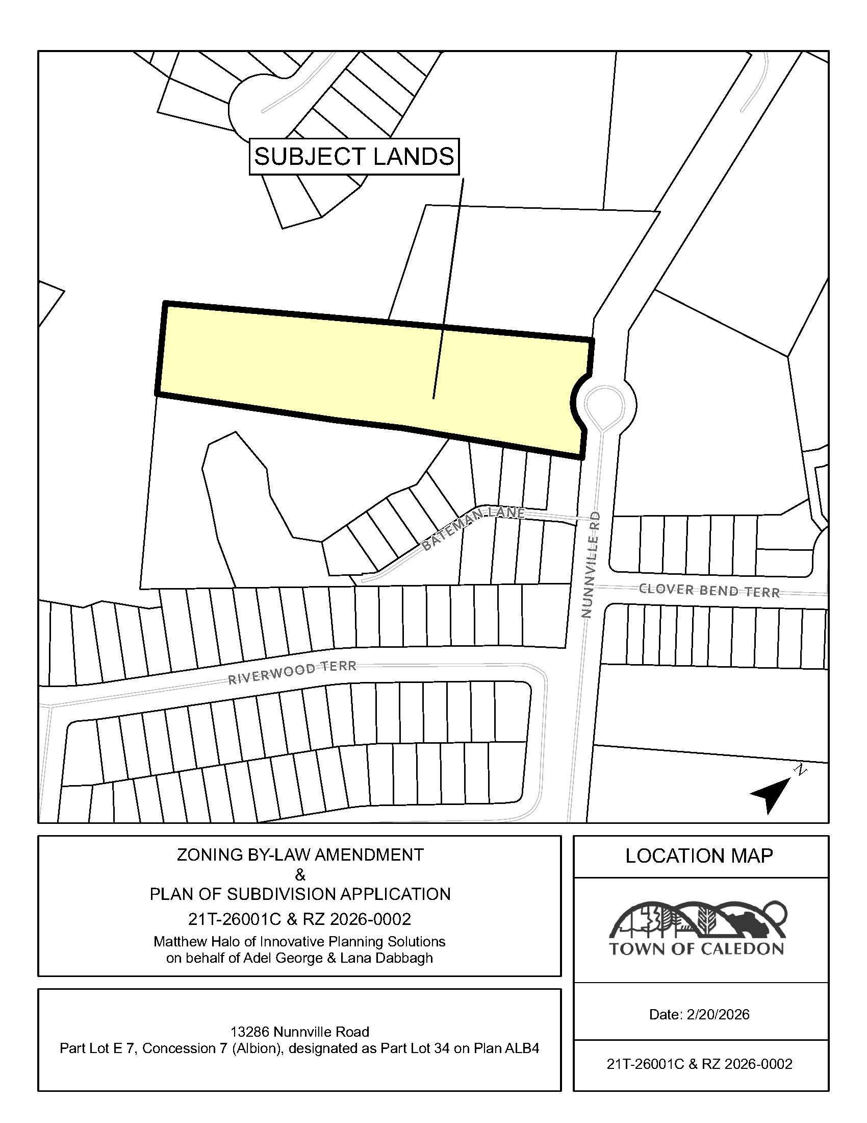
13286 Nunnville Road
The Town has received proposed Draft Plan of Subdivision and Zoning By-law Amendment applications.
| Current Status |
|
Property Description
The subject lands are located in Bolton Rural Service Centre, municipally known as 13286 Nunnville Road.
- Town File Number(s): 21T-26001C and RZ 2026-0002
- Project Name: Innovative Planning Solutions Inc. on behalf of Adel George and Lana Dabbagh
| 13286 Nunnville Road, Ward 5 |
![]() |
| Draft Plan of Subdivision |
|
The applicant has submitted a Draft Plan of subdivision to facilitate a residential development consisting of (22) three-storey Townhouse Dwellings within 4 residential blocks fronting onto a common element condominium road, 2 road widening blocks and 1 environmental protection block. |
| Zoning By-law Amendment |
|
The Zoning By-law Amendment proposes to amend the zoning of the property from Residential One – Exception 56 (R1-56), Residential Townhouse – Exception 131 (RT-131) and Environmental Policy Area 1 Zone (EPA1) to site specific Residential Townhouse (RT-XX) and Environmental Policy Area 1 Zone (EPA1) to implement the proposed development. |
Updates and Notices
| Notices |
|
| Materials Submitted |
Contact us, or make an appointment to visit Town Hall to view studies not available online, or previous versions. |
Lead Planner
Sagar Babbar
Community Planner, Development and Design
Planning and Development Department
905.584.2272 x. 4041
Sagar.babbar@caledon.ca
Additional Resources
For more information about this matter, or to provide comments, feedback or ask questions, please contact the Lead Planner at Town Hall from Monday to Friday, 8:30 a.m. to 4:30 p.m.

